চলতি হাওয়া
-
করোনা মহামারির ভবিষ্যত কী?
আমাদের প্রথমেই একটি কথা মেনে নিতে হবে যে, কোভিড-১৯ ২০২২ সালের আগে পৃথিবী থেকে যাবে না। এর কারণ মূলত দুটি,…
Read More » -
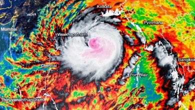
ঘুর্ণিঝড়ে সুরক্ষিত থাকতে যা করণীয়
ঘূর্ণিঝড় আম্পানের প্রভাবে ব্যাপক ক্ষয়ক্ষতির আশংকা দেখা দিয়েছে। ক্ষয়ক্ষতি কমাতে উপকূলীয় এলাকার ১২ হাজার ৭৮টি আশ্রয়কেন্দ্র প্রস্তুত রাখার পাশাপাশি সতর্কতামূলক…
Read More » -
করোনা- কালের ডায়েরি
ঘড়ির কাঁটা শুক্রবারে ঢুকতে ঢুকতেই বিশ্বজুড়ে করোনায় মৃত্যু ৩ লাখ ছাড়ায় গেল। এত এত মানুষের মৃত্যুর মিছিল। কত গুরুত্বপূর্ণ মানুষ…
Read More » -
কিশোর কুমাররা হেরে গেলে হেরে যাবে বাংলাদেশ
বিদ্যানন্দ একটি ভালবাসার নাম, স্বপ্নের নাম, লাখো মানুষের প্রেরণার নাম, একটা বিরাট উপবাসী-অনাহারী ছিন্নমূল মানুষের বেঁচে থাকার আশ্রয়ের নাম বিদ্যানন্দ।…
Read More » -
দুঃসময়ে যে খবর আমাদের আশাবাদী করে
কয়েকজন আলেম, স্বেচ্ছায় নিজেরা মিলে একটা টিম তৈরি করেছে, টিমের কাজ করোনায় আক্রান্ত মৃতের জানাজা ও দাফন ইসলামিক নিয়মে পরিচালিত…
Read More » -
ভাষা মুখার্জি : তার চেহারার মতই সুন্দর তার মন
রাফিউজ্জামান সিফাত: সুন্দরীর মুকুট মাথা থেকে খুলে তিনি ফিরছেন স্টেথসকোপ হাতে। ভাষা মুখার্জি একজন বাঙালি নারী, মাত্র নয় বছর বয়সে…
Read More » -
করোনাময় পৃথিবীর বাস্তবতা এবং স্বপ্ন
নভেম্বর, ২০১৯ - করোনার আগের পৃথিবী বেকার জীবন কাটাচ্ছি। গত মাসে রিয়ার সাথে কথা হচ্ছিল। বয়ফ্রেন্ড ৮ বছর প্রেম করার…
Read More » -
অনন্য এক নেতার অন্যরকম এক দেশ
গাউসুল আলম শাওন: অনেকদিন আগে এক দরিদ্র দেশে ফ্লু এর মহামারী দেখা দিয়েছিল। সেই দেশটি বহু বছর লুটেরাদের দখলে ছিল, মাত্র…
Read More » -
পৃথিবী ইতালির ডিজাস্টার থেকে যা শিখতে পারে
মোস্তফা সরয়ার ফারুকী: নিউইয়র্ক টাইমসে একটা খুব জরুরি লেখা বেরিয়েছে যেটাতে বলা হয়েছে পৃথিবী ইতালির ডিজাস্টার থেকে কী শিখতে পারে।…
Read More » -
অন্য এক ইতালির গল্প
গত আড়াই মাসে বিশ্বকে প্রবলভাবে নাড়িয়ে দিয়েছে করোনাভাইরাস। গোটা বিশ্বই এখন কার্যত অচল। বিভিন্ন দেশের সঙ্গে বিভিন্ন দেশের বিমান চলাচল…
Read More »